Ground-Truthing Satellite Imagery in Crop Production

Something went wrong. Please try again later...

Background and Rationale

 

  • Satellite imagery, such as that offered through Encirca® Pro from Encirca® services is a valuable tool for modern agriculture.
  • There is an inherent tradeoff with satellite imagery between frequency and resolution - smaller, more numerous satellites are able to image an area more frequently but cannot accommodate the high-resolution optics of larger satellites.
  • Satellite images can often reveal areas of higher or lower relative crop health but not necessarily identify the cause.
  • Drone imagery and field visits can help “drill down” on areas in a field that differ from others in satellite images.

Objective

 

  • Utilize satellite imagery, drone technology, and ground verification to analyze and solve field issues for farmers.

Study Description

 

  • Pioneer Field Agronomists worked with their local Pioneer sales professionals across the state of Iowa in 2017 and 2018 to show farmers the value of satellite imagery as a diagnosis tool in identifying areas of concern within fields.
  • Encirca services Crop Health Index was used to identify field challenges or evaluate field management treatments.
  • When available, drones were used to further examine specific areas of concern or treatment evaluations within fields.
  • Pioneer sales professionals then traveled to these areas and did a thorough analysis to assist the farmer in diagnosing any issue(s) and/or to evaluate field treatments.

Observations

Example 1 - Corn Fungicide Application (Figures 1-7)

Encirca Pro satellite imagery and associated application map for VT corn fungicide application in Carroll County, IA, August 2018.

Figure 1. Encirca Pro satellite imagery and associated application map for VT corn fungicide application in Carroll County, IA, August 2018.

Photo - Drone field images captured in mid-September showing improved plant health in the corn fungicide treatment strip.

Figure 2. Drone field images captured in mid-September showing improved plant health in the corn fungicide treatment strip.

Photo - improved corn plant health in the treated strip is still visible in a drone image taken in mid-October.

Figure 3. Improved plant health in the treated strip is still visible in a drone image taken in mid-October.

Comparison photos - differences in stalk strength and standability associated with fungicide treatment in corn.

Figure 4. Differences in stalk strength and standability associated with fungicide treatment were apparent when scouting the field in October.

Comparison photo showing mature corn ears with improved yield potential corresponding to better plant health in the fungicide-treated field strip.

Figure 5. Ears sampled in October showed improved yield potential corresponding to better plant health in the fungicide-treated strip. Treated: left Untreated: right

Drone image of field showing corn fungicide treatment vs. non-treated area at harvest timing.

Figure 6. Drone image showing fungicide treatment vs. non-treated area at harvest timing.

Harvest map of corn field showing increased yield levels in the fungicide-treated strip compared to the untreated areas of the field.

Figure 7. Harvest map of field showing increased yield levels in the fungicide-treated strip compared to the untreated areas of the field. The treated area had a 21.8 bu/acre yield advantage in this example.

Example 2 - Field Edge Effect (Figures 8-10)

In 2017 and 2018, several growers noticed reduced yields on the edges of many corn fields.

In some cases, growers anticipated this issue as they saw reduced crop health in the Crop Health Index images. Others were surprised by the results, and many were looking for answers as to why yields were reduced so much on the outside edges of many corn fields. Some key observations included:

Damage was worse on fields bordered by a crop other than corn (soybeans or pasture).

The south and west field edges tended to be affected more than north and east edges.

Many growers suspected herbicide damage due to the close proximity to a different crop (soybeans/pasture) and the high frequency of yield loss associated with reduced crop health along the affected edges.

Pioneer Field Agronomists used the Encirca® services Crop Health Index tool to determine that herbicide injury was not the primary cause of this field edge effect in most cases.

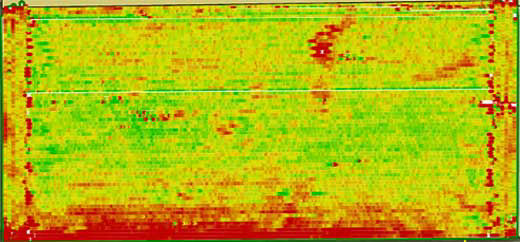
In 2017, soybean post-emergence herbicides were typically applied in mid- to late-June when corn would have been at ~V10 stage of development. During the weeks following soybean herbicide application, no evidence or crop injury was observed in the corn. Review of Crop Health Index maps showed the damage did not start to show up until mid-July and progressed throughout the month of August (Figure 8).

Sequence of Crop Health Index maps showing progression of affected area along a field edge from June 10 to September 1, 2017.

Figure 8. Sequence of Crop Health Index maps showing progression of affected area along a field edge from June 10 to September 1, 2017.

  • By utilizing the Crop Health Index tool and scouting the affected and non-affected areas of the fields, Pioneer Field Agronomists were able to determine that a majority of the instances of reduced crop health and yield along field edges were associated with increased evapotranspiration levels during a critical dry spell that occurred around flowering time and into early grain fill.
  • Corn is very sensitive to stress during late vegetative stages and just prior to silking.

Nutrient and water demands are very high at this time.

Most critical impacts from drought typically occur approximately two weeks prior to silking.

Extra summer wind stress on the south and west field edges likely exacerbated water and nutrient stress in those areas.

Corn ears showing reduced kernel counts in affected area - rootworm feeding.

Figure 9. Ears showing reduced kernel counts in affected area.

Corn yield map showing reduced yield levels in affected areas - rootworm feeding.

Figure 10. Yield map showing reduced yield levels in affected areas.

Example 3 - Fertilizer Application (Figures 11-12)

  • In this example, the grower utilized the Encirca® services Crop Health Index tool to evaluate a sulfur application in a field that had shown signs of sulfur deficiency in the past.
  • The grower established two sulfur treatment blocks in the field and evaluated the effect on corn yield in 2018.
  • Sulfur was applied as ammonium sulfate in the spring of 2018 at a rate of 116 lbs/acre.
Crop Health Index image showing ammonium sulfate treatment blocks and associated improvement of plant health in July 2018.

Figure 11. Crop Health Index image showing ammonium sulfate treatment blocks and associated improvement of plant health in July 2018.

Photo comparing corn ears from plants treated and untreated with ammonium sulfate blocks (1/1000th of an acre).

Figure 12. Ear pictures for untreated (top) and treated (bottom) ammonium sulfate blocks (1/1000th of an acre) showing improved grain yield potential and grain quality.

Example 4 - Poor Plant Health Diagnosis (Figures 13-15)

  • In this example, the Crop Health Index tool revealed an area of reduced crop health in the field.
  • The grower was alerted of the area in early July via the Crop Health Index map below.
  • Field visits to the corresponding areas found significant corn rootworm feeding and associated plant health concerns (drought stress and root lodging).
Crop Health Index image from early July 2017.

Figure 13. Crop Health Index image from early July 2017.

Comparison photos of corn roots sampled from affected and unaffected areas showing severe corn rootworm feeding in the affected part of a field.

Figure 14. Roots sampled from the affected (left) and unaffected areas (right) showing severe corn rootworm feeding in the affected area.

Crop Health Index map showing an area of reduced crop health caused by corn rootworm feeding and yield map showing a corresponding area of reduced yield.

Figure 15. Crop Health Index map showing an area of reduced crop health caused by corn rootworm feeding and yield map showing a corresponding area of reduced yield.

  • The grower and Pioneer Sales team scouted the affected area revealed by satellite imagery and were able to diagnose the cause of reduced crop health.
  • In this particular example, an isolated pocket of heavy corn rootworm feeding was the cause.
  • Crop rotation and additional corn rootworm management practices were put into place to improve productivity in the future.

Conclusions

 

  • The use of satellite imagery is a great starting point for discovering issues and evaluating treatments within a field.
  • Combining this tool with other resources, such as drones and in-field scouting, allows sales professionals and growers to focus their scouting and management efficiently and effectively.
  • Encirca® Pro from Encirca services provides valuable tools to help facilitate improved crop management.

Authors: Ryan Clayton, Pioneer Field Agronomist; and Sandy Endicott, Agronomy Manager

December 2018

The foregoing is provided for informational use only. Please contact your Pioneer sales professional for information and suggestions specific to your operation. Product performance is variable and depends on many factors such as moisture and heat stress, soil type, management practices and environmental stress as well as disease and pest pressures. Individual results may vary.

Encirca® services are provided subject to the terms and conditions of purchase which are part of the purchase documents.

Encirca® services provides estimates and management suggestions based on statistical and agronomic models. Encirca services is not a substitute for sound field monitoring and management practices. Individual results may vary and are subject to a variety of factors, including weather, disease and pest pressure, soil type and management practices.

ENCIRCA® SERVICES ARE PROVIDED "AS IS" AND PIONEER MAKES NO REPRESENTATION OR WARRANTY, EXPRESS OR IMPLIED, CONCERNING THE USE OF ENCIRCA SERVICES OR THE RESULTS OBTAINED THEREFROM, INCLUDING WITHOUT LIMITATION IMPLIED WARRANTIES OF MERCHANTABILITY OR FITNESS FOR A PARTICULAR PURPOSE, WHICH ARE HEREBY DISCLAIMED. IN NO EVENT WILL PIONEER OR ITS AFFILIATES BE LIABLE TO YOU OR ANY OTHER PERSON FOR ANY LOSS OR DAMAGE RELATING TO YOUR USE OF OR RELIANCE UPON ENCIRCA SERVICES.